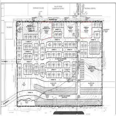
Exceptional Residential Development(Apartment block) Opportunity in Owen Sound, amazing location for Student housing project. Presenting a unique chance to acquire a vacant Residential lot in the vibrant downtown core of Owen Sound. Owen Sound is a rapidly growing urban center in Grey County, just a few hours from Toronto and the U.S.-Canada border, offering direct access to major surrounding markets. The site is located directly across from Regional Hospital, Georgian College, Miller Grove elementary school, community center. This is a limited opportunity to secure a foothold in a thriving area, with convenient access to a diverse range of shopping amenities, the picturesque lake. Opportunity to for development in this prime location. Parcel to be severed from the larger development. The Purchaser will be responsible for their development cost such as development charges, servicing cost etc. Site is zoned and site plan approved, soils and environmental studies are available. All prospective buyers are encouraged to conduct thorough due diligence regarding property.
Employment & Personnel Businesses for Sale
Grocery Stores & Delis for Sale
Coin Laundry & Dry Cleaning Businesses for Sale
Entertainment & Recreation Businesses for Sale
Home Based Business Opportunities
Gas Stations & Car Washes for Sale
Wholesale & Distribution Businesses for Sale
Manufacturing Businesses for Sale
Consulting & Training Businesses for Sale
Automotive Businesses for Sale
Automotive Franchises for Sale
Coffee, Bakery & Dessert Franchise Opportunities
Home Based Franchise Opportunities
Fitness & Wellness Franchises for Sale
Real Estate & Property Management Franchise for Sale
Convenience Store & Lotto Franchises for Sale
Technology Franchise Opportunities
Construction & Landscaping Franchise Opportunities
Restaurant Franchises for Sale
Cleaning & Janitorial Franchises for Sale
Warehouses for Sale or Lease
Office Spaces for Sale or Rent
Places of Worship for Sale
Commercial Spaces for Sale or Lease
Industrial Units for Sale or Rent
Apartment Buildings for Sale
Medical Buildings for Sale or Lease
Malls for Sale
Houses & Condos for Sale or Lease
Miscellaneous Properties for Sale or Lease
An email will be sent to registered email address.
Please select if you are: