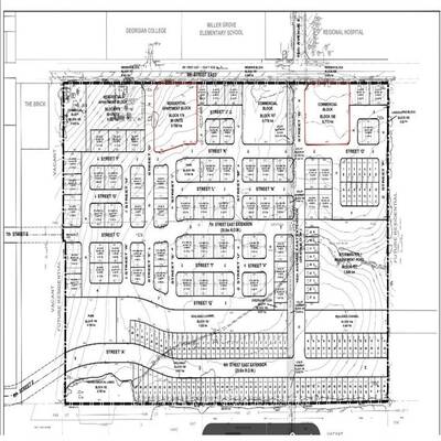
Exceptional Downtown Commercial Development Opportunity in Owen Sound. Presenting a unique chance to acquire a vacant commercial lot in the vibrant downtown core of Owen Sound. Owen Sound is a rapidly growing urban center in Grey County, just a few hours from Toronto and the U.S.-Canada border, offering direct access to major surrounding markets. The site is located directly across from Regional Hospital, Georgian College, Miller Grove elementary school, community center. This is a limited opportunity to secure a foothold in a thriving area, with convenient access to a diverse range of shopping amenities, the picturesque lake. Opportunity to for development in this prime location. Parcel to be severed from the larger development. The Purchaser will be responsible for their development cost such as development charges, servicing cost etc. Site is zoned and site plan approved, soils and environmental studies are available. All prospective buyers are encouraged to conduct thorough due diligence regarding property.
$ 1,750,000
$ 2,300,000
Pet Businesses for Sale
Retail Businesses for Sale
Construction & Landscaping Businesses for Sale
Environmental Businesses for Sale
Entertainment & Recreation Businesses for Sale
Manufacturing Businesses for Sale
Farms & Vineyards for Sale
Coin Laundry & Dry Cleaning Businesses for Sale
Transport & Shipping Businesses for Sale
Hotels and Motels for Sale
Finance & Accounting Franchise Opportunities
Beauty & Personal Care Franchises for Sale
Senior Care Franchise for Sale
Healthcare & Medical Franchise Opportunities
Post Office Franchises for Sale
Manufacturing Franchises for Sale
Entertainment & Recreation Franchise Opportunities
Liquor Franchises for Sale
Travel Franchise Opportunities
Vending & Kiosk Franchises for Sale
Warehouses for Sale or Lease
Medical Office Spaces for Sale or Rent
Apartment Buildings for Sale
Plazas for Sale
Commercial Spaces for Sale or Lease
Retail Buildings for Sale or Lease
Industrial Units for Sale or Rent
Industrial Buildings for Sale or Lease
Office Buildings for Sale or Rent
Miscellaneous Properties for Sale or Lease
An email will be sent to registered email address.
Please select if you are: